landlooking.comTP. Hồ Chí MinhQuận Bình ThạnhBán nhà số 89 Nơ Trang Long, P.11, Bình Thạnh DT: 20x20m
Bán nhà số 89 Nơ Trang Long, P.11, Bình Thạnh DT: 20x20m
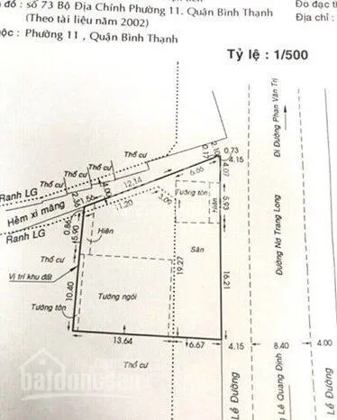
89 - Nơ Trang Long, Phường 11, Quận Bình Thạnh
Đã bán
Diện tích360 m2
- Vị trí đẹp nằm giữa trung tâm hai ngã tư Lê Quang Định và Phan Văn Trị. - Diện tích: 20 * 20m, sổ công nhận 360m2 - Sổ đỏ chính chủ, Đất ở lâu dài. - Phù hợp đầu tư xây mới hầm 6 - 8 lầu khai thác Tòa nhà, Văn phòng, Căn hộ cho thuê thu nhập cao. - Pháp lý rõ ràng giao dịch nhanh liên hệ xem nhà.
- Loại: Biệt Thự
- Kiểu đường: Mặt tiền
- Tình trạng pháp lý: Sổ Hồng
- Hướng: Đông
- Cập nhật cuối: 13/4/2022


